
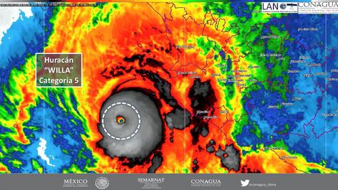
Huracán “Willa” se fortalece a categoría 5; amenaza a Jalisco, Colima, Sinaloa, Nayarit...
El ciclón se localiza a 215 kilómetros al suroeste de Cabo Corrientes, Jalisco y a 280 kilómetros al sur-suroeste de las Islas Marías

El ciclón se localiza a 215 kilómetros al suroeste de Cabo Corrientes, Jalisco y a 280 kilómetros al sur-suroeste de las Islas Marías

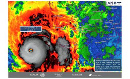
El Centro Nacional de Huracanes de Estados Unidos prevé que el ciclón impacte en costas mexicanas por la tarde o noche del martes; se esperan olas de dos a cuatro metros y posibles trombas marinas frente a las costas de Sinaloa, Nayarit, Jalisco, Colima y Michoacán

Prevén trombas marinas en litoral de Sinaloa, Nayarit, Jalisco, Colima y Michoacán; en Veracruz, frente frío provoca inundaciones en al menos 32 municipios

El gobernador Antonio Echevarría ordenó la suspensión de clases hasta nuevo aviso en los municipios de Acaponeta, Del Nayar, Huajicori, Tecuala, Tuxpan, San Blas y Santiago Ixcuintla

La clases quedaron suspendidas en todos los planteles educativos de todos los niveles del sector público y privado en los municipios de Cósala, Concordia, Elota, San Ignacio, Escuinapa, El Rosario y Mazatlán

El huracán generará tormentas dispersas en Michoacán, Colima y Sinaloa

El ciclón presenta vientos sostenidos de 155 k/h y rachas de hasta 195 k/h; se localiza a 365 kilómetros al sur-suroeste de Playa Perula y a 435 kilómetros de Cabo Corrientes