
El ministro dijo que no podía proporcionar detalles sobre la magnitud de los daños causados por el huracán, ya que las evaluaciones apenas están comenzando

El ministro dijo que no podía proporcionar detalles sobre la magnitud de los daños causados por el huracán, ya que las evaluaciones apenas están comenzando

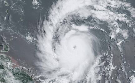
El ciclón, el más fuerte en lo que va de la temporada en el Atlántico, tocó tierra en Jamaica alrededor del mediodía

Las autoridades de Hawái se mantienen alerta ante la llegada del huracán Kiko a las cosas de Maui

El fenómeno avanza con fuerza por el Pacífico; se espera que toque tierra como categoría 3 entre Oaxaca y Guerrero

Los huracanes se forman a partir de ondas tropicales y aguas oceánicas cálidas, y se clasifican en tres categorías: depresión tropical, tormenta tropical y huracán, con una escala que va del 1 al 5

El huracán Beryl se aproxima a las costas de Quintana Roo
Este fenómeno natural se encuentra asombrando a los mexicanos por su forma de manifestarse

Un huracán de categoría 5 sorprende al Caribe en julio y redefine las expectativas climáticas para 2024

Se espera que el ojo de la tormenta llegue el lunes temprano a las islas de Barlovento

El Estado de México y la Ciudad de México, entre las entidades afectadas