
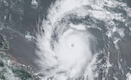
Huracán Beryl: ¿Qué es la escala Saffir-Simpson y por qué es importante durante el fenómeno meteorológico?
Se estima que el fenómeno meteorológico, categoría 4, toque tierra la noche del 4 de julio o la madrugada del 5 de julio entre Tulum y Carrillo Puerto, Quintana Roo











