
Los habitantes de la costa de EU han tomado medidas de prevención desde el viernes pasado: puentes a las islas cerraron el lunes; muchos residentes evacuaron el domingo, pero la tormenta no llega a Florida

Los habitantes de la costa de EU han tomado medidas de prevención desde el viernes pasado: puentes a las islas cerraron el lunes; muchos residentes evacuaron el domingo, pero la tormenta no llega a Florida

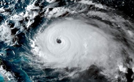
Autoridades de EU utilizaron un avión cazahuracanes para captar las imágenes; la Estación Espacial Internacional también mostró al huracán, ahora de categoría 4, desde el espacio

El Centro Nacional de Huracanes advirtió que se espera que el potente ciclón impacte duramente en el noreste de las islas

El Centro Nacional de Huracanes de Estados Unidos afirmó que el meteoro se convirtió en un huracán "extremadamente peligroso", con vientos de 215 kilómetros por hora

El mismo Centro Nacional de Huracanes de Estados Unidos, una de las máximas autoridades a nivel mundial en el tema, ha estado reconociendo "la incertidumbre en el pronóstico de la trayectoria" de Dorian desde hace días

Según informó el Centro Nacional de Huracanes, se espera que Dorian continúe fortaleciéndose durante los próximos días sobre las aguas del Atlántico y que alcance la categoría 3 poco antes de tocar tierra en EU la próxima semana

El mandatario acusó a la que fuera su cadena noticiosa preferida de haberse vuelto "demasiado hospitalaria con los demócratas", he instó a sus seguidores a buscar otro servicio de noticias

Aún sufriendo las secuelas del huracán "María" de 2017, Puerto Rico contempla una serie de medidas para garantizar que la isla no se quede sin abastecimiento de combustible y agua y electricidad por la próxima llegada de "Dorian"

El Centro Nacional de Huracanes pronosticó que la tormenta tenga una trayectoria norte-noreste en el Atlántico sin representar amenaza en tierra; “Dorian” se aproxima a Puerto Rico y prevén que llegué a Florida

El pronóstico del Centro Nacional de Huracanes anticipa fuertes lluvias hasta el jueves en Barbados, las Islas de Barlovento y Sotavento, y especialmente en Puerto Rico y República Dominicana