
Bache en avenida Heróico Colegio Militar en Toluca causa asentamientos viales y daños a vehículos
El presidente municipal, Juan Maccise informó que hay un promedio de 8 mil baches censados en la ciudad

El presidente municipal, Juan Maccise informó que hay un promedio de 8 mil baches censados en la ciudad

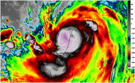
El paso de Goemi ha causado daños materiales, cortes de luz, dos muertos y más de 260 heridos

Contentos de que el huracán no dejó destrucción en sus hogares, decenas de personas vuelven con sus mascotas

De acuerdo a los manifestantes, los trabajos subterráneos han cimbrado decenas de viviendas y al menos 24 presentan daños mayores

Entre estos inmuebles se encuentran 59 escuelas de educación media superior y 23 instituciones de educación superior que reportan daños graves

El Instituto para la Economía y la Paz alerta sobre el aumento de la inseguridad alimentaria, pues esta incrementa el riesgo de conflicto en un 36%, mientras que el desabasto del vital líquido dispara el peligro en 18%

Mónica Fernández César, vicecoordinadora del PRI en el Congreso capitalino, solicitó que dentro del Atlas de Riesgos de la Alcaldía Venustiano Carranza, sean incluidos los referentes a incendios en mercados públicos