Más Información

"El Licenciado", uno de los presuntos líderes del CJNG en 4 regiones de Michoacán y presunto autor intelectual del asesinato de Carlos Manzo

Alcalde de Tijuana acusa estrategia mediática en su contra tras acusaciones por lavado de dinero; exige investigar origen de denuncia

Harfuch reporta detención del autor intelectual del homicidio de Carlos Manzo; está directamente vinculado con el CJNG

Libertad de Javier Duarte en suspenso; testigos narran rebeldía y obstrucción de Javier Duarte en proceso penal

Grupo Salinas acusa violación a sus derechos humanos ante nueva resolución de la Corte; condena "sesgo" de la ministra Batres

Marcha de la Generación Z: Edson Andrade responde a acusaciones de Luisa Alcalde; "tengo que abandonar mi país", lamenta
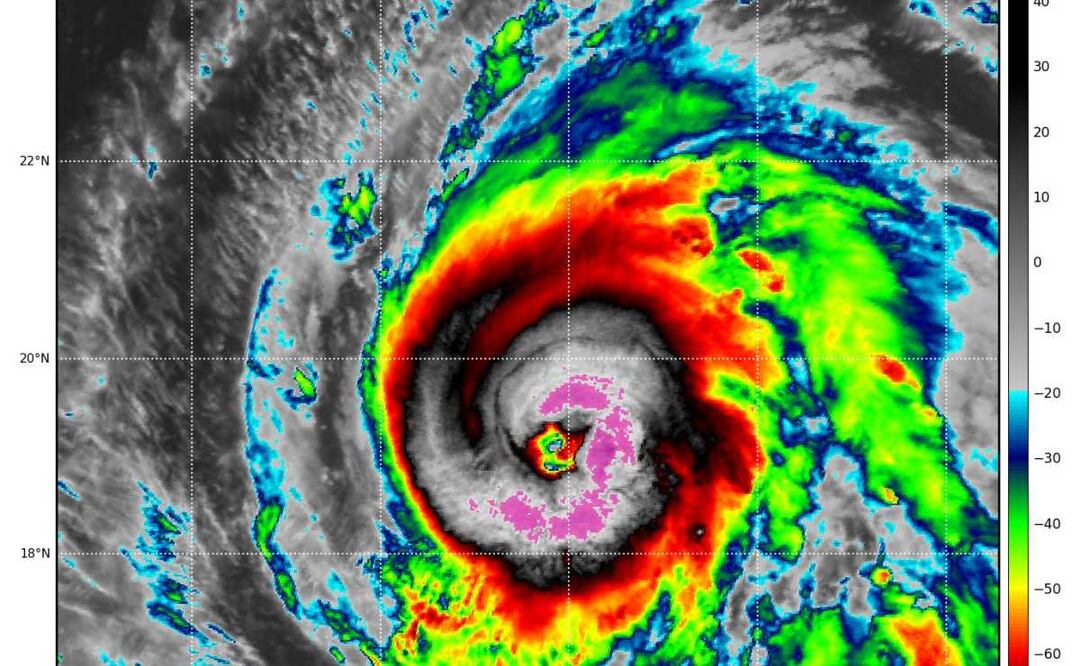
Miami. El huracán Kirk alcanzó la categoría 4 el jueves, lo cual incrementa el riesgo de que genere peligrosas condiciones de oleaje y resaca el fin de semana en la costa este de Estados Unidos, al igual que en las Bermudas, las Antillas Mayores y las Bahamas, informaron meteorólogos.
Kirk se ubica en el área central del océano Atlántico y podría fortalecerse aún más aproximadamente en un día, pero se prevé que permanezca lejos de las costas, señaló el Centro Nacional de Huracanes de Estados Unidos (NHC, por sus siglas en inglés).
Se calcula que las crecidas generadas por Kirk lleguen el viernes aparte de las Islas de Barlovento norteñas, el sábado a las Bermudas y las Antillas Mayores, y el domingo a la costa este de Estados Unidos y las Bahamas.
Lee también Huracán Kirk evoluciona a categoría 3 en el Atlántico; no amenaza con tocar tierra

No había advertencias ni alertas vigentes en costas. El huracán se encontraba a unos 1.745 kilómetros (1.085 millas) al este-noreste de las Islas de Barlovento norteñas, con vientos máximos sostenidos de 215 km/h (130 mph).
Mientras tanto, la tormenta tropical Leslie se formó el miércoles por la noche en Atlántico oriental, y podría convertirse en huracán en los próximos días, señalaron los meteorólogos. Tampoco se considera un riesgo para las costas.
Leslie se ubicaba a unos 930 kilómetros (580 millas) al oeste-suroeste del extremo sur de las islas de Cabo Verde y presentaba vientos máximos sostenidos de 85 km/h (50 mph), informó el NHC.
ss
Más Información
Noticias según tus intereses
ViveUSA
[Publicidad]


















